Furacão Melissa já é um dos mais fortes registrados no Atlântico; veja a lista
Fenômeno que se aproxima da Jamaica é de categoria 5, tem ventos de 298 km/h e pressão mínima de 892 mb
Internacional|Do R7
LEIA AQUI O RESUMO DA NOTÍCIA
Produzido pela Ri7a - a Inteligência Artificial do R7
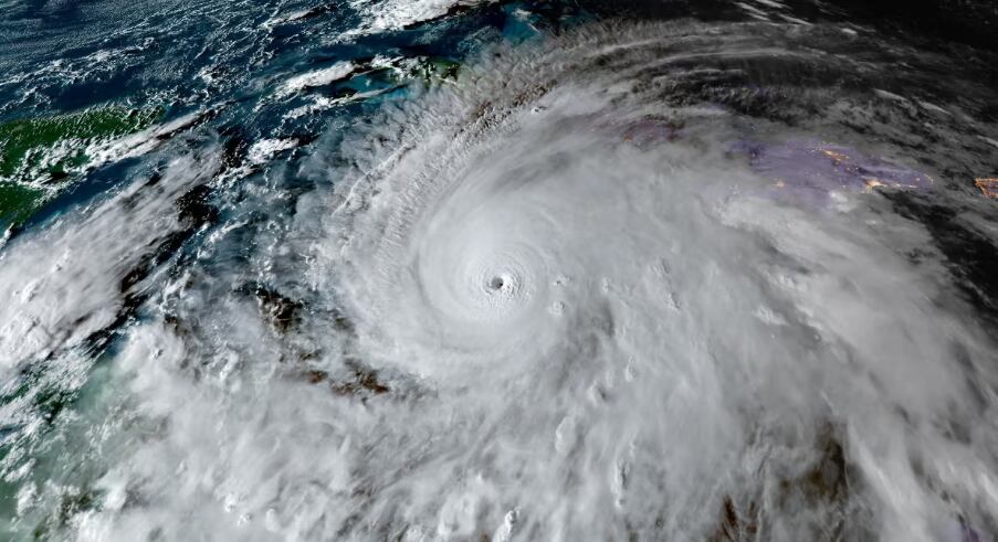
O Centro Nacional de Furacões dos EUA (NHC) informou que o furacão Melissa alcançou ventos sustentados de cerca de 298 km/h, o que configura um cenário “extremamente perigoso e com risco de vida”.
A pressão central do sistema atingiu marcas raríssimas para o Atlântico. Com 892 mb (milibares), o Melissa já está entre os furacões mais intensos do histórico, abaixo do Wilma (882 mb, 2005) e do Gilbert (888 mb, 1988).
LEIA MAIS:
O furacão avança sobre o território jamaicano, com a chegada oficial prevista quando metade do olho cruzar terra, processo esperado para acontecer ainda nesta terça-feira (28).
Com a deterioração rápida do tempo, o governo jamaicano reportou interrupções amplas no fornecimento de energia antes mesmo do impacto pleno. Cerca de 35% dos clientes da Jamaica Public Service (o serviço elétrico local), algo como 240 mil pessoas, estavam sem eletricidade, enquanto hospitais em Manchester e St. Elizabeth operavam em geradores. Autoridades reforçaram que equipes só atuam onde houver segurança operacional.
Relatos no litoral sul descrevem cenário de devastação e ondas estimadas em cerca de 4,6 m. Em Alligator Pond, um comerciante disse por telefone que “a linha costeira desapareceu” e lamentou não ter deixado a área um dia antes. Em Montego Bay e Kingston, rajadas equivalentes a aproximadamente 80 a 97 km/h já haviam sido registradas, com mar agitado e visibilidade reduzida.
Moradores de Kingston narram preparativos com estoques de água e alimentos prontos para cozinhar, além de abrigos internos sem janelas, conforme recomenda o NHC: proteger-se colocando o máximo de paredes entre pessoas e o exterior, cobrindo-se com colchões e utilizando capacetes para reduzir riscos de objetos arremessados pelo vento.
Meteorologistas destacam que, com ventos desse porte, florestas podem perder folhas e copas inteiras, repetindo efeito observado em Porto Rico após o furacão Maria, em 2017. Em áreas montanhosas, a combinação de rajadas e saturação do solo tende a amplificar a queda de árvores, o bloqueio de vias e o colapso de redes de distribuição.
A intensificação de Melissa foi classificada como excepcional. O sistema evoluiu de tempestade tropical para furacão de grande porte em curto intervalo e alcançou categoria 5 na segunda-feira (27), sustentando picos próximos de 298 km/h na manhã de terça-feira. Satélites mostram convecção profunda concentrada em torno do centro e um olho bem definido, assinatura típica de ciclones no ápice de organização.
A trajetória imediata indica novo impacto em Cuba oriental entre a noite de hoje e a madrugada de quarta, com avanço posterior sobre Bahamas sudeste e Turks e Caicos. Mapas de probabilidade do NHC mostram ampla faixa sujeita a ventos de força de furacão, enquanto áreas periféricas podem enfrentar condições de tempestade tropical por longas horas mesmo após a passagem do núcleo.
Veja abaixo a lista de furacões de menor pressão no Atlântico
- Wilma (2005) — 882 mb
- Gilbert (1998) — 888 mb
- Melissa (2025) — 892 mb
- Labor Day (1932) - 892 mb
- Rita (2005) — 895 mb
- Milton (2024) — 895 mb
Fique por dentro das principais notícias do dia no Brasil e no mundo. Siga o canal do R7, o portal de notícias da Record, no WhatsApp













